DIRECCIÓN GENERAL DE COMUNICACIÓN SOCIAL

Image Image

  Universidad Autonoma de Sinaloa


COMPARTE ESTA NOTICIA Responsive image Responsive image

Abril 24, 2026

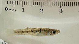
Investigadores de la UAS desarrollan alternativa biológica para el control del dengue; peces endémicos de Sinaloa como solución a la proliferación del Aedes aegypti

El Cuerpo Académico de Vida Silvestre y Biología Molecular de la Universidad Autónoma de Sinaloa (UAS), en la búsqueda de soluciones ante la proliferación del mosquito Aedes aegypti —vector del virus del dengue y un problema de salud pública cuya incidencia ha aumentado de manera exponencial tanto en Sinaloa como a nivel mundial—, presentó los resultados de sus investigaciones sobre una alternativa viable y amigable con el medio ambiente.

José Israel Torres Avendaño, profesor investigador de la Facultad de Biología, compartió que, tras años de estudio, se llevó a cabo un monitoreo de especies de peces endémicos con potencial depredador de larvas. Los resultados indican que estos ejemplares consumen entre 40 y 50 larvas en un periodo de 24 horas, consolidándose como una herramienta de control biológico eficaz.

“Basados en esto, hemos estudiado organismos con capacidad como agentes de control biológico y depredación de mosquitos desde hace alrededor de diez años. Actualmente, seguimos trabajando con un microcrustáceo (copépodo) que, según nuestros resultados, depreda una gran cantidad de larvas de primer estadio de Aedes aegypti en 24 horas”, explicó el académico, destacando también el papel de la familia Poeciliidae.

Respecto a las estrategias actuales, señaló que los esquemas se centran en la eliminación de criaderos mediante la descacharrización y el uso de insecticidas. No obstante, advirtió que el uso excesivo de sustancias químicas genera impactos negativos en el ecosistema, afectando a polinizadores como abejas y abejorros, además de favorecer el desarrollo de resistencia en las poblaciones de mosquitos.

En este sentido, consideró que, aunque las medidas tradicionales son necesarias y económicas, es fundamental desarrollar nuevas estrategias biológicas que las complementen.

“Tenemos el primer paso, que es la evaluación en laboratorio; lo que sigue es la evaluación en campo para observar aspectos como supervivencia, natalidad y capacidad reproductiva. Lo más destacado es que son especies endémicas de Sinaloa, lo que garantiza bioseguridad ecológica, aunque esto implica que lo que funciona aquí podría no ser aplicable en otros lugares; de ahí la importancia de continuar investigando”, aclaró.

Esta primera etapa de identificación contó con los resultados obtenidos por la biomédica Ileana Ibed Velarde Prieto en su tesis de licenciatura, los cuales representan un avance hacia la aplicación integrativa con los métodos químicos ya establecidos.

Actualmente, las indagaciones continúan para robustecer estas líneas de investigación con el apoyo de la UAS y la colaboración de expertos como el Dr. Cuauhtémoc Villarreal Treviño, del Centro de Investigación en Salud Pública (INSP) con sede en Tapachula, Chiapas.


COMPARTE ESTA NOTICIA Responsive image Responsive image Responsive image

NOTICIAS RELACIONADAS Abril 24, 2026

Destaca la calidad académica del CIDOCS; médicos residentes obtienen premios internacionales y nacionales en investigación dermatológica


Abril 24, 2026

Fomenta la Facultad de Medicina la cultura y el intercambio académico con el Librotón 2026, el punto de encuentro donde la lectura y la salud convergen


Abril 24, 2026

La UAS entrega al sector productivo 390 nuevos ingenieros agrónomos competitivos y con sentido humano; egresa la Generación 2021-2026


Abril 23, 2026

¡Letras que trascienden! La UAS, testigo de honor en la presentación de los ganadores en poesía y cuento del Premio Nacional Dr. Enrique Peña Gutiérrez


Abril 23, 2026

La UAS pone en marcha la etapa regional del XXIV Concurso de Aparatos y Experimentos de Física 2026, un espacio para el talento y la innovación del bachillerato


Abril 23, 2026

¡Orgullo rosalino! Las Preparatorias Emiliano Zapata y Central Diurna representan a la UAS en el Mundialito de Futbol Social Escolar 2026


Abril 23, 2026

Estudiantes de Aeronáutica de la Facultad de Ciencias de la Tierra y el Espacio realizarán prácticas en túneles de viento y software de simulación en la UNAQ


Abril 23, 2026

Impulsa Bienestar Universitario cultura de paz y prevención de adicciones en la Preparatoria Central Diurna; fortalece acciones contra el vapeo


Abril 22, 2026

La Facultad de Filosofía y Letras de la UAS es sede del X Encuentro Regional de Filosofía Zona Norte, para debatir sobre ética, IA y colonialismo


Abril 22, 2026

La UAS, a través de la UBU, junto con el IMSS fortalecen la salud estudiantil con Jornada de Vacunación contra el Sarampión en la Facultad de Psicología



Sursum Versus

UNIVERSIDAD AUTONOMA DE SINALOA